Local feeder (Diptera: Cecidomyiidae) in Amorpha
| Record no.: | 0046, 0706 |
|---|---|
| Feeding guild: | Local feeder in leaf rachis (and stem?) |
| Taxonomy: | Diptera: Cecidomyiidae: Cecidomyiidi |
| Stages observed: | trace, larva |
| Distribution observed: | IA |
| Hosts in Amorpha: | A. canescens (leadplant); A. fruticosa (indigo bush) |

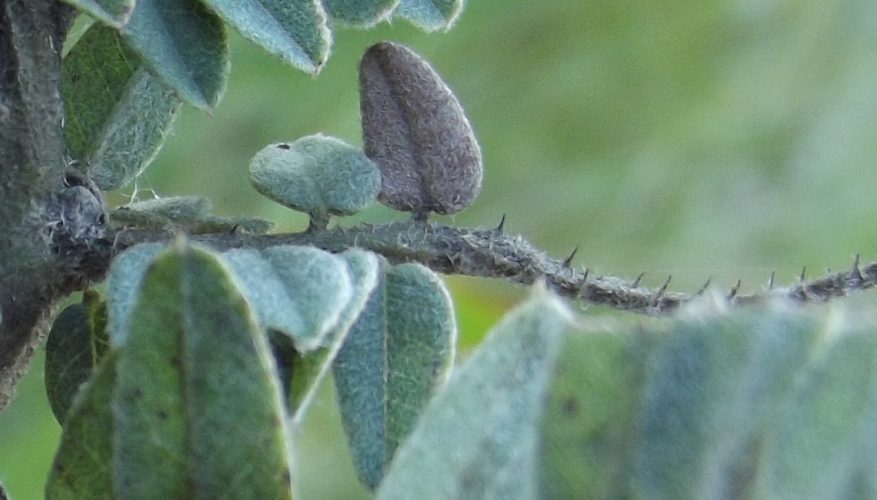
I observed several slight spindle-shaped swellings induced by this cecidomyiid on the rachises (central stalks) of the compound leaves of A. fruticosa. (I have also noted galls and inner chambers in woody twigs that I am tentatively ascribing to this species -- see below). Some of the rachis swellings assumed a yellowish or light brown discoloration externally, with the individual leaflet attached to the gall wilting, or even the entire portion of leaf distal to the gall. The bright orange larva lives in a smooth-walled chamber inside the gall. The interior walls of the gall may show some dark brown or black discoloration.
In 2020, by mid-August, when I first observed this insect, many swellings displayed exit holes, having been recently evacuated by the mature larvae, but a few still contained larvae (one per swelling). In late May the following year, I noted exit holes in the bark of healthy twigs of the same plant, with the holes located at nodes on the twigs. Buds of A. fruticosa often occur in superposed pairs on the twig (van der Linden & Farrar 2016), and in two of the twig exit hole examples I photographed, the exit hole occurred in the slight woody protrusion supporting the larger, upper bud of the pair. Dissection of the twig at such points revealed a small, ~8mm-long ovoid chamber under the bark, the walls of the chamber smooth and darkly discolored. I hypothesized that the twig and rachis modifications were both caused by the same cecidomyiid, and that as with the rachis swellings, larvae had exited the twigs the previous summer, and their exit holes had simply gone unnoticed over the winter. This inference about the phenology of the twig galls gained preliminary support in 2023, when I located two galls on a current-year twig whose occupants had already evacuated them by the time I came across the galls in late September (photos 43-16 and 43-17).
The preceding findings are from indigo bush (A. fruticosa), but in mid-August, 2016, I also photographed two rachis modifications and a twig with an exit hole on leadplant (A. canescens), which I am tentatively including in this record. One of the rachis modifications consisted of a very slight enlargement of the rachis featuring a yellowish discoloration and a missing leaflet, while the other example included a more prominent enlargement of the rachis distal to which the remaining part of the leaf had died. Leaflet loss, partial leaf death, and yellowish discoloration of the swelling in these cases were all similar to the observations from indigo bush. The twig bearing the exit hole was dead, so I couldn't rule out the possibility that the exit hole had been created by an insect specializing in dead plant tissue, but the location of the hole at a node matched the holes on indigo bush twigs, and I hypothesized that a cecidomyiid had made the hole during a prior growing season while the twig was still alive. Hatfield (2020) found an orange larva, tentatively identified as Cecidomyiidae, in a slight bump on a leadplant twig in late August. The interior of this gall showed a brown discoloration similar to the discoloration inside the rachis galls and stem chambers I observed on indigo bush.
R.J. Gagné identified the indigo bush larvae as belonging to supertribe Cecidomyiidi (pers. comm., after examining specimens in hand). A different cecidomyiid that Hatfield (2016) reared from leaf curls on leadplant in Iowa also belongs to Cecidomyiidi (Carr 2016).
- Carr, J.F. 2016. Comment on contributor post at BugGuide.net. Retrieved April 7, 2026 from https://www.bugguide.net/node/view/1240424.[return to in-text citation]
- Hatfield, M.J. 2016. Cecidomyiidae, lead plant individual leaf wrap. Contributor post on BugGuide.net. Retrieved April 7, 2026 from https://www.bugguide.net/node/view/1240420.[return to in-text citation]
- Hatfield, M.J. 2020. Larva, lead plant stem. Contributor post at BugGuide.net. Retrieved March 6, 2024 from https://bugguide.net/node/view/1790467. [return to in-text citation]
- van der Linden, P.J. and D.R. Farrar. 2016. Shrubs and vines of Iowa. University of Iowa Press: Iowa City. [return to in-text citation]
Page created: February 10, 2026. Last update: April 7, 2026

Prev













